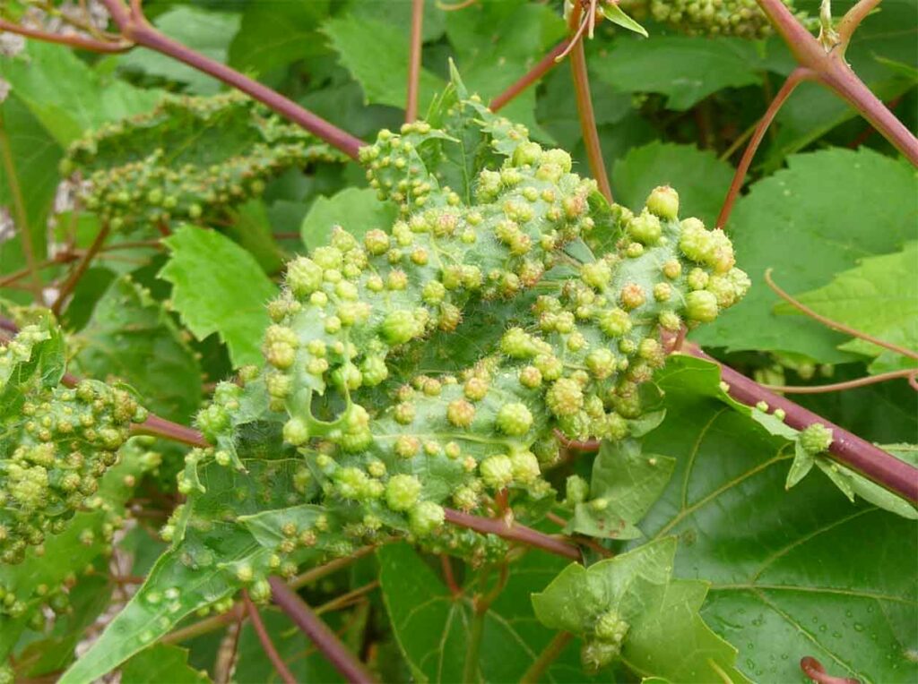
Управление Россельхознадзора по Республике Дагестан информирует, что согласно приказу от 08.07.2024 №92 «Об установлении карантинной фитосанитарной зоны и введении карантинного фитосанитарного режима по карантинному объекту — филлоксере виноградной (Viteus vitifolii (Fitch)) на территории Кайтагского и Дербентского районов Республики Дагестан» установлена карантинная фитосанитарная зона и введен карантинный фитосанитарный режим по филлоксере виноградной на общей площади 44676,48га.
Филлоксера виноградная является опасным карантинным вредителем винограда, особенно для европейских сортов. Распространение филлоксеры происходит в основном с помощью зараженного посадочного материала винограда (черенками, саженцами), а также сельскохозяйственной техникой, при помощи ветра (до 17 км), воды при поливе или дожде.
В соответствии частью 4 статьи 20 Федерального закона от 21.07.2014 № 206-ФЗ «О карантине растений» в карантинной фитосанитарной зоне мероприятия по осуществлению локализации очагов карантинного объекта или ликвидации популяции карантинного объекта осуществляются за счет средств граждан и юридических лиц, имеющих в собственности, во владении, в пользовании, в аренде подкарантинные объекты. Управление напоминает, что повсеместная и эффективная борьба с карантинными организмами способствует ликвидации их очагов.
Информация о карантинных фитосанитарных зонах, установленных на территории Республики Дагестан, размещена в информационно-телекоммуникационной сети «Интернет» на официальном сайте Управления по адресу https://05.fsvps.gov.ru/wp-content/uploads/sites/55/2023/02/Приказ-№92_0001.pdf

